Syssomonas
| Syssomonas | ||
|---|---|---|
![]() Syssomonas multiformis | ||
| Taxonomía | ||
| Dominio: | Eukaryota | |
| Reino: | Protista | |
| (sin rango) | Opisthokonta | |
| Filo: | Choanozoa (P) | |
| Clase: | Pluriformea | |
| Género: |
Syssomonas Hehenberger, 2017 | |
Syssomonas es un género de protozoos ameboides del clado de los opistocontos cercanamente relacionado con los animales. Los protozoos de este género se caracterizan por una gran variedad de etapas de vida que incluyen formas flageladas, ameboflageladas, células ameboides no flagelares y quistes esféricos.
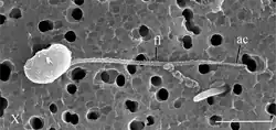
Las células flageladas miden 7-14 µm de diámetro. La longitud del flagelo es de 10-24, raramente 35 µm. El diámetro del quiste es de 5 µm. El flagelo se pierde en la etapa avanzada de vida. Las células ameboides pueden formar agregados celulares similares a sincitos o pseudoplasmodios y producen filopodios delgados, relativamente cortos y algunas veces tienen dos vacuolas contráctiles. En cuanto a su alimentación es un predador de eucariotas heterótrofos como Parabodo caudatus y especies de Spumella, ingiere bacterias y pequeños detritos mediante fagocitosis, no posee orgánulos especializados para la caza y utiliza pseudópodos cortos para formar vacuolas alimenticias.[1]
El género fue aislado de un estanque de agua dulce en Vietnam y se ha revelado que su presencia es muy abundante en el Río Paraná (Argentina). Incluye una sola especie nombrada Syssomonas multiformis.[2]
Este nuevo género opistoconto esta estrechamente con el género Corallochytrium con quien conformaría una nueva clase denominada Pluriformea dentro de Holozoa (el linaje que conduce a los animales).[3]
Véase también
- Opisthokonta (árbol filogenético de los distintos grupos).
Referencias
- ↑ Denis V. Tikhonenkov et al. Insights into the origin of metazoan multicellularity from predatory unicellular relatives of animals. Biorxiv.
- ↑ Alicia S. Arroyo et al. Novel Diversity of Deeply Branching Holomycota and Unicellular Holozoans Revealed by Metabarcoding in Middle Paraná River, Argentina. Frontiers.
- ↑ Elisabeth Hehenberger et al. Novel Predators Reshape Holozoan Phylogeny and Reveal the Presence of a Two-Component Signaling System in the Ancestor of Animals. Science Direct.
