Tmesisternus rufipes
| Tmesisternus rufipes | ||
|---|---|---|
![]() | ||
| Taxonomía | ||
| Reino: | Animalia | |
| Filo: | Arthropoda | |
| Clase: | Insecta | |
| Orden: | Coleoptera | |
| Familia: | Cerambycidae | |
| Género: | Tmesisternus | |
| Especie: |
Tmesisternus rufipes Blanchard, 1853 | |
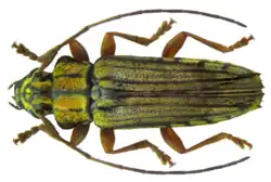
Tmesisternus rufipes es una especie de escarabajo del género Tmesisternus, familia Cerambycidae.[1] Fue descrita científicamente por Blanchard en 1853.[1]
Habita en Indonesia y Papúa Nueva Guinea.[1] Esta especie mide 9-15,75 mm.[1]
Referencias
- ↑ a b c d «Tmesisternus rufipes». Instituto de Investigación para el Desarrollo (en francés). Consultado el 23 de mayo de 2022.
.png)