Santo Rostro de Jesús

El Santo Rostro de Jesús es un título para imágenes específicas que algunos católicos creen que son representaciones milagrosamente formadas del rostro de Jesucristo. La imagen obtenida de la Sábana Santa está asociada a una medalla específica que llevan algunos católicos y es también una de las devociones a Cristo católicas.[1][2]
A lo largo de los siglos se han reportado diversos acheiropoieta (literalmente "no hechos a mano") relacionados con Cristo, y se han practicado devociones al rostro de Jesús. Las devociones a la Santa Faz fueron aprobadas por el Papa León XIII en 1895 y por el Papa Pío XII en 1958.[3]
En la tradición católica, la Santa Faz de Jesús se utiliza junto con Actos de reparación a Jesucristo[4] con instituciones específicas cuyo objetivo es dicha reparación, por ejemplo, la Congregación Pontificia de las Hermanas Benedictinas de la Reparación de la Santa Faz. En su discurso a esta Congregación, el Papa Juan Pablo II se refirió a tales actos de reparación como el "esfuerzo incesante por estar al lado de las interminables cruces en las que el Hijo de Dios sigue siendo crucificado".[5]
La Verónica

La creencia en la existencia de imágenes auténticas de Cristo está relacionada con la antigua leyenda de Abgaro de Edesa sobre el "Mandylion", y el escrito apócrifo conocido como el «Hechos de Pilato», sobre el "velo de la Verónica".[6] La más antigua y conocida de estas imágenes se denominó vera icon (imagen verdadera), que en el lenguaje ordinario pasó a llamarse verónica.
Según la tradición, Verónica encontró a Jesús en la Vía Dolorosa de camino al Calvario. Cuando se detuvo para limpiar la sangre y el sudor de su rostro con su velo, su imagen quedó impresa en la tela. La historia no se registra en su forma actual hasta la Edad Media. El acontecimiento se conmemora con la sexta Estación del Vía Crucis.
María de San Pedro Eluere

En 1844, la hermana María de San Pedro, una monja carmelita de Tours, Francia, informó de una locución interior en la que Jesús le dijo: Aquellos que contemplen las heridas de Mi Rostro aquí en la tierra, lo contemplarán radiante en el cielo.[7] Más tarde informó de otras "comunicaciones", como ella las denominó, con Jesús y la Virgen María en las que se le instó a difundir la devoción al Santo Rostro de Jesús, en reparación por los numerosos insultos que sufrió Jesús en su Pasión.[8] La devoción al Santo Rostro de Jesús comenzó a extenderse entre los católicos de Francia.[9]
Leo Dupont

León Dupont era un religioso de familia noble que se había trasladado a Tours. En 1849 había iniciado el movimiento de Adoración eucarística nocturna en Tours, desde donde se extendió por Francia. Más tarde se le conoció como el "Santo de Tours". Al enterarse de las visiones de la hermana María de San Pedro, comenzó a encender una lámpara de vigilia continuamente ante una imagen del Santo Rostro de Jesús, en ese momento una imagen basada en el Velo de la Verónica.[10]
Dupont rezó y promovió el caso de la devoción al Santo Rostro de Jesús durante unos 30 años. Pero los documentos relativos a la vida de la hermana María de San Pedro y a la devoción fueron guardados por la Iglesia y no fueron divulgados. Sin embargo, Dupont persistió. Finalmente, en 1874 Charles-Théodore Colet fue nombrado nuevo arzobispo de Tours. El arzobispo Colet examinó los documentos y en 1876 dio permiso para que se publicaran y se fomentara la devoción, poco antes de que Dupont muriera. A partir de entonces, a Dupont se le llamó a veces el Apóstol del Santo Rostro.[11]
A la muerte de León Dupont, en 1876, su casa de la calle St. Etienne de Tours fue adquirida por la archidiócesis de Tours y convertida en el Oratorio de la Santa Faz. El oratorio es administrado por una orden de sacerdotes llamada «Sacerdotes del Santo Rostro», erigida canónicamente en 1876. La Devoción al Santo Rostro de Jesús fue aprobada por el Papa León XIII en 1885, quien expresó su deseo de establecer un oratorio similar en Roma.[12][13] Se inauguró en 1891 en la Via Pietro Cavallini y fue administrado por los sacerdotes, pero fue demolido en la posterior remodelación.[14]
Teresa de Lisieux
Teresa de Lisieux fue una monja francesa que recibió el hábito carmelita en 1889 y más tarde fue conocida con el nombre religioso de "Santa Teresa del Niño Jesús y de la Santa Faz". Fue introducida en la devoción de la Santa Faz a través de su hermana de sangre Paulina, Sor Agnès de Jesús. Teresa escribió muchas oraciones para expresar la devoción al Santo Rostro.[15] Escribió las palabras ¡Haz que me parezca a ti, Jesús! en una pequeña tarjeta y le pegó una estampa del Santo Rostro. La oración la fijó en un pequeño recipiente sobre su corazón, ya que en aquella época no existía la medalla de la Santa Faz. En agosto de 1895, en su "Cántico a la Santa Faz", escribió: Jesús, tu inefable imagen es la estrella que guía mis pasos. Ah, Tú lo sabes, Tu dulce Rostro es para mí el Cielo en la tierra. Mi amor descubre los encantos de Tu Rostro adornado con lágrimas. Sonrío a través de mis propias lágrimas cuando contemplo Tus dolores.
Teresa compuso también la Oración del Santo Rostro por los pecadores: "Padre Eterno, ya que me has dado en herencia el adorable Rostro de Tu Divino Hijo, te ofrezco ese rostro y te ruego, a cambio de esta moneda de infinito valor, que olvides la ingratitud de las almas a Ti consagradas y perdones a todos los pobres pecadores.[16]
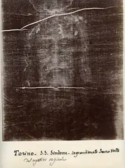
Sábana Santa de Turín
Una devoción más amplia al Santo Rostro se basa en la imagen utilizada en la Sábana Santa de Turín que algunos creen que es el paño funerario de Jesús. Es diferente de la imagen de Jesús en el Velo de la Verónica, aunque la imagen del velo se había utilizado anteriormente en las devociones. Como se dice que la imagen del Santo Rostro se obtuvo del paño funerario de Jesús, se supone que es una imagen posterior a la crucifixión. Sin embargo, la imagen del Velo de la Verónica es, por definición, anterior a la crucifixión, ya que se supone que fue impresa cuando Verónica se encontró con Jesús en Jerusalén a lo largo de la Vía Dolorosa de camino al Calvario.[6]
Aunque la Sábana Santa de Turín ha sido exhibida públicamente por los católicos al menos desde el siglo XVI, la tenue imagen del Santo Rostro que aparece en ella no puede verse claramente a simple vista y sólo se observó con la llegada de la fotografía. En 1898, el fotógrafo italiano aficionado Secondo Pia se sorprendió al ver el negativo de la imagen en su cuarto oscuro mientras revelaba la primera fotografía del sudario. La casualidad hizo que Secondo Pia recibiera la aprobación del Rey para intentar la primera fotografía de la Sábana Santa para una exposición, lo cual fue inusual por sí mismo. Y Pia dijo más tarde que en la tarde del 28 de mayo de 1898, casi se le cae y rompe la placa fotográfica en el cuarto oscuro por la conmoción de ver la imagen de un rostro en la Sábana Santa (por primera vez en la historia) que no se podía observar claramente a simple vista.[17]
De ahí que las devociones al Santo Rostro anteriores a ese año se basaran en imágenes anteriores, basadas en pinturas del Velo de la Verónica.
Maria Pierina De Micheli
El primer viernes de Cuaresma de 1936, la hermana Maria Pierina De Micheli, nacida cerca de Milán Italia, relató una visión en la que Jesús le dijo: Quiero que mi Rostro, que refleja los dolores íntimos de mi Espíritu, el sufrimiento y el amor de mi Corazón, sea más honrado. El que medita en Mí, me consuela.[1][2]
Otras visiones de Jesús y María informadas instaron a Sor María Pierina a hacer una medalla con el Santo Rostro de Jesús. Esta medalla se conoce como la Medalla de la Santa Faz. En un lado de la medalla hay una réplica de la imagen del Santo Rostro de la Sábana Santa y una inscripción basada en el Salmo 66:2: Illumina, Domine, vultum tuum super nos, es decir, Que, oh Señor, la luz de tu rostro brille sobre nosotros.[1][5] En la otra cara de la medalla hay una imagen de una Sagrada Hostia radiante, el monograma del Santo Nombre ("IHS"), y la inscripción Mane nobiscum, Domine, es decir, Quédate con nosotros, oh Señor.[1]
En otra visión, la hermana María Pierina relató que Jesús le dijo: Cada vez que se contemple mi Rostro, derramaré mi amor en el corazón de esas personas, y por medio de mi Santo Rostro se obtendrá la salvación de muchas almas. Informó además que Jesús quiso que se celebrara una fiesta especial el día anterior al Miércoles de Ceniza en honor a su Santo Rostro, que sería precedida por una Novena (9 días) de oraciones.[cita requerida]
Después de algunos esfuerzos, Sor María Pierina logró obtener el permiso para fundir la medalla y su uso comenzó a crecer en Italia. Al comenzar la Segunda Guerra Mundial, muchos soldados y marineros recibieron la medalla de la Santa Faz como medio de protección. La propia Sor María Pierina murió en 1945 al final de la guerra.[1][2][18]
En el año 2000, el Papa Juan Pablo II afirmó que la inscripción "Illumina, Domine, Vultum tuum super nos" de la Medalla de la Santa Faz subraya la necesidad de una reflexión más profunda sobre el Rostro de Jesús y la difusión de la devoción al mismo.[5]
Aprobación del Vaticano y día de la fiesta
La primera medalla de la Santa Faz fue ofrecida al Papa Pío XII que aprobó la devoción y la medalla. En 1958 declaró formalmente la Fiesta de la Santa Faz de Jesús como Martes de Carnaval (el martes anterior al Miércoles de Ceniza) para todos los católicos.
Con motivo del centenario de la primera fotografía de la Sábana Santa de Secondo Pia (28 de mayo de 1898), el domingo 24 de mayo de 1998, el Papa Juan Pablo II visitó la Catedral de Turín. En su discurso de ese día, dijo: "la Sábana Santa es una imagen del amor de Dios, así como del pecado humano" y "es un icono del sufrimiento de los inocentes en todos los tiempos".[19]
La devoción de la Santa Faz y la medalla de la Santa Faz se extendieron entre los católicos de todo el mundo, con organizaciones como la Asociación de la Santa Faz.
Análisis teológico
En su libro de 2005 En el camino hacia Jesucristo, el Papa Benedicto XVI realizó un análisis de las devociones del Santo Rostro, y las caracterizó como si tuvieran tres componentes separados.[20] El primer elemento es el discipulado, y la orientación de la propia vida hacia un encuentro con Jesús. El segundo elemento es ver a Jesús en la Eucaristía. El tercer elemento es escatológico, y está entrelazado entre los otros dos.[20]
Refiriéndose a Mateo 25:31-36 Benedicto XVI afirmó que el primer elemento (es decir, el discipulado) implica ver a Jesús en el rostro de los pobres y los oprimidos, y cuidar de ellos, pero para ver adecuadamente a Jesús en el rostro de los necesitados, los creyentes necesitan primero conocer mejor a Jesús a través de la Eucaristía.[20] El segundo elemento implica relacionar la Pasión de Jesús, y el sufrimiento expresado por las imágenes que representan su rostro herido con la experiencia eucarística. Así, la devoción que comienza con las imágenes del rostro de Jesús conduce a su contemplación en la experiencia eucarística.[20] El elemento escatológico se basa entonces en el despertar a Cristo mediante la contemplación de su rostro en la Eucaristía.[20]
Instituto para la investigación del Santo Rostro
El Instituto Internacional para la Investigación del Rostro de Cristo fue creado en 1997 por el cardenal Fiorenzo Angelini y las Hermanas Benedictinas de la Reparación del Santo Rostro de Roma.[21]
En su mensaje a la 6ª conferencia anual del Instituto, celebrada en Roma en octubre de 2002, el Papa Juan Pablo II destacó la importancia espiritual de la contemplación del Rostro de Cristo y se refirió a su Carta Apostólica Novo millennio ineunte que decía:[22][23]
- ¿Y no es tarea de la Iglesia reflejar la luz de Cristo en cada época histórica, para hacer brillar su rostro también ante las generaciones del nuevo milenio? Nuestro testimonio, sin embargo, sería irremediablemente insuficiente si nosotros mismos no hubiéramos contemplado primero su rostro.
En el mismo mensaje, Juan Pablo II también relacionó el tema de la contemplación con el de la contemplación de la Persona de Cristo, tal y como se trató en su primera encíclica Redemptor hominis.[22]
Véase también
Referencias
- ↑ a b c d e Ann Ball, Enciclopedia de Devociones y Prácticas Católicas 2003 ISBN 0-87973-910-X páginas 635 y 239
- ↑ a b c catholicnewsagency.com/news/holy-face-nun-beatified-remembered-by-pope-benedict-xvi/ «Monja del Santo Rostro beatificada, recordada por el Papa Benedicto XVI». Catholic News Agency. 30 de mayo de 2010.
- ↑ Joan Carroll Cruz, OCDS, 2003, Hombres santos de los tiempos modernos ISBN 1-931709-77-7 página 200
- ↑ Alban Butler, 2007, Vidas de los santos, ISBN 0-86012-253-0 página 28
- ↑ a b c Vatican website: Carta del Papa Juan Pablo II a la Hermana de la Reparación del Santo Rostro, 27 de septiembre de 2000. Archivado el 2 de mayo de 2008 en Wayback Machine.
- ↑ a b Dégert, Antoine. "Santa Verónica", La Enciclopedia Católica. Vol. 15. Nueva York: Robert Appleton Company, 1912. 9 de abril de 2017
Este artículo incorpora texto de esta fuente, la cual está en el dominio público.
- ↑ Ann Ball, Enciclopedia de Devociones y Prácticas Católicas 2003 ISBN 0-87973-910-X páginas 209-210
- ↑ Dorothy Scallan, et al. 1994 The Life & Revelations of Sor Mary of St. Peter ISBN 0-89555-389-9
- ↑ Joan Carroll Cruz, OCDS, Saintly Men of Modern Times (2003) ISBN 1-931709-77-7 páginas 194-197
- ↑ Pierre Désiré Janvier, La vida de León Papin-Dupont: el Santo de Tours. Kessinger Publishing (2008) ISBN 1-4365-4333-9
- ↑ Slater, Thomas. "Reparación". The Catholic Encyclopedia Vol. 12. Nueva York: Robert Appleton Company, 1911. 9 de abril. 2017
- ↑ Relics by Joan Carroll Cruz (Sep 1984) OSV Press, ISBN 0879737018 page 57
- ↑ «Papers Past». paperspast.natlib.govt.nz. Consultado el 10 de agosto de 2020.
- ↑ Mario Armellini: Chiese di Roma 1891 p.794
- ↑ Ann Laforest, Thérèse of Lisieux: the way to love, ISBN 1-58051-082-5 página 61
- ↑ Online, Catholic. «Oración del Santo Rostro por los pecadores (de Santa Teresa de Lisieux) - Oraciones». Catholic Online. Consultado el 10 de agosto de 2020.
- ↑ «LA PRIMERA FOTO DE LA SÁBANA_URL=https://www.shroud.com/vanhels4.htm». www.shroud.com.
- ↑ «Angelus, 30 de mayo de 2010, Solemnidad de la Santísima Trinidad | BENEDICTO XVI». www.vatican.va. Consultado el 10 de agosto de 2020.
- ↑ Sitio web del Vaticano: Discurso de Juan Pablo II en la catedral de Turín, 24 de mayo de 1998
- ↑ a b c d e En el camino hacia Jesucristo' por el Papa Benedicto XVI y Michael J. Miller (8 de octubre de 2005) ISBN 1586171240 páginas 28-30
- ↑ «A las "Hermanas Benedictinas de la Reparación del Santo Rostro de Nuestro Señor Jesucristo" (14 de octubre de 1999) | Juan Pablo II». www.vatican.va. Consultado el 10 de agosto de 2020.
- ↑ a b «Mensaje a Su Eminencia el Card. Fiorenzo Angelini (19 de octubre de 2002) | Juan Pablo II». www.vatican.va. Consultado el 10 de agosto de 2020.
- ↑ «Vatican website: Novo Millennio Ineunte, 6 de enero de 2001». Archivado desde el original el 19 de abril de 2012. Consultado el 5 de septiembre de 2022.
Bibliografía
- Joan Carroll Cruz, Saintly Men of Modern Times. (2003) ISBN 1-931709-77-7
- Dorothy Scallan. The Holy Man of Tours. (1990) ISBN 0-89555-390-2
- Dorothy Scallan, et al. 1994 The Life & Revelations of Sr. Mary of St. Peter ISBN 0-89555-389-9
- Bernard Ruffin, 1999, The Shroud of Turin ISBN 0-87973-617-8
- Céline Martin. My Sister Therese of the Holy Face. (1997) ISBN 0-89555-598-0