Huracán Cindy (1999)
| Huracán Cindy | ||
|---|---|---|
| Huracán categoría 4 (EHSS) | ||
|
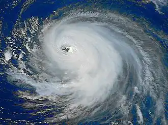
El huracán Cindy cerca de su intensidad máxima. | ||
| Historia meteorológica | ||
| Formado | 19 de agosto de 1999 | |
| Disipado | 31 de agosto de 1999 | |
| Vientos máximos |
220 km/h (durante 1 minuto) | |
| Presión mínima | 942 hPa | |
| Efectos generales | ||
| Daños totales |
Desconocidos (estimación, {{{año}}}) | |
| Áreas afectadas | Ninguna | |
| Forma parte de la Temporada de huracanes en el Atlántico de 1999 | ||
El huracán Cindy fue la tercera tormenta en recibir nombre, segundo huracán y segundo huracán mayor de la temporada de huracanes en el Atlántico de 1999. Se desarrolló de una onda tropical el 19 de agosto que partió de las costas de África. Fue ascendido a nivel de tormenta tropical el 20 de agosto, y a huracán el 21, alcanzando su intensidad máxima el 28. El sistema se movió hacia el Atlántico Norte antes de fusionarse con una gran tormenta extratropical al norte de las islas Azores el 31 de agosto. Cindy no tuvo efectos mayores sobre tierra ni en mar.
Historia meteorológica

El 18 de agosto, una onda tropical surgió del oeste de las costas de África, y sigiuó trayectoria oeste a través del Atlántico.[1]
Referencias
- ↑ Guiney (2000). «Hurricane Cindy Tropical Cyclone Report». National Hurricane Center. Archivado desde el original el 20 de febrero de 2008. Consultado el 29 de enero de 2008.
Véase también
Enlaces externos
Wikimedia Commons alberga una categoría multimedia sobre Huracán Cindy.