Cuencas Pluviales de Nebraska

El centro sur del estado de Nebraska es predominantemente una gran llanura de arena fluvial y grava depositada en el lado sur del río Platte. Todo el terreno está cubierto por varios metros de loess y paleosol, y sobre esto hay muchos lagos poco profundos, marismas y humedales que colectivamente se conocen como el Distrito de la Cuenca Pluvial.[1] En los meses de primavera y otoño, millones de aves migratorias pasan a través de estos humedales para alimentarse y reposar. Las semillas y los tubérculos de las plantas de los humedales y el maíz de las granjas de los alrededores son recursos abundantes para las aves en ruta hacia su destino final. Cuando las cuencas someras se calientan a fines de la primavera, proporcionan un hábitat para insectos e invertebrados acuáticos. Los humedales son administrados por agencias federales y estatales con fondos obtenidos de permisos de caza.
Los humedales del Distrito de la Cuenca Pluvial se encuentran dentro de los ecosistemas de varios tipos de hierba. La flora y la fauna que históricamente existieron en esta zona fueron el resultado de procesos ecológicos naturales como los incendios forestales, el pastoreo, la sequía y las inundaciones. El desarrollo agrícola a principios del siglo XX comenzó a convertir los humedales para la producción de cultivos cavando zanjas para drenar la tierra, construyendo diques o bermas alrededor de los humedales, cavando pozos profundos para concentrar el agua y desviando la escorrentía hacia los arroyos.
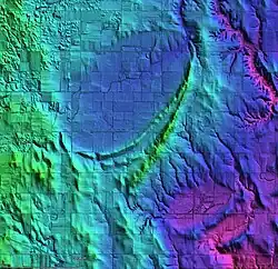
Estos humedales contienen numerosas depresiones elípticas conocidas como Cuencas Pluviales de Nebraska que se encuentran al sur del río Platte en un terreno cubierto de loess. Una investigación del subsuelo concluyó que las cuencas se formaron antes de la glaciación de Wisconsin, hace aproximadamente 115.000 años. (Kuzila, 1994)[2] Todas las cuencas tienen una orientación noreste-suroeste. Son de diferentes tamaños y tienen bordes en el lado sureste. La gran similitud entre las Cuencas Pluviales de Nebraska y las Cuencas de Carolina sugiere que su formación puede tener una explicación común (Zanner y Kuzila, 2001).[3]
La introducción de LIDAR, una tecnología de teledetección, permite obtener imágenes muy claras de las Cuencas Pluviales de Nebraska para compararlas con las Cuencas de Carolina. Un estudio de las orientaciones de las cuencas de Nebraska y Carolina encontró que los ejes mayores de las elipses convergen en la bahía de Saginaw en Michigan. (Davias y Gilbride, 2010).[4] Un análisis geométrico concluyó que estas dos estructuras geológicas, separadas por más de 1800 kilómetros, tienen formas elípticas matemáticamente precisas y relaciones de aspecto comunes. Como las elipses son secciones cónicas, la Hipótesis de Impactos de Hielo Glaciar (Antonio Zamora, 2017)[5] propuso que un impacto extraterrestre sobre la capa de hielo Laurentino arrojó pedazos de hielo en trayectorias balísticas y los impactos secundarios de los pedazos de hielo licuaron el suelo y formaron cavidades cónicas inclinadas que se transformaron en cuencas elípticas por medio de relajación viscoelástica.
Referencias
- ↑ «Rainwater Basin Wetland Management District, Nebraska».
- ↑ Kuzila, M.S. «Inherited Morphologies of Two Large Basins in Clay County, Nebraska.». Great Plains Research, 1994, 4:51-63. Consultado el 23 de agosto de 2018.
- ↑ Zanner W, Kuzila MS (2001) Nebraska's Carolina Bays. GSA Annual Meeting.[1] Archivado el 23 de septiembre de 2017 en Wayback Machine.
- ↑ Davias, M.; Gilbride, J.L., Correlating an Impact Structure with the Carolina Bays, GSA Denver Annual Meeting (31 October - 3 November 2010), Paper No. 116-13, 2010.
- ↑ Zamora, A., A model for the geomorphology of the Carolina Bays, Geomorphology (2017), DOI 10.1016/j.geomorph.2017.01.019 [2]