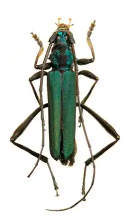
Chloridolum grossepunctatum
| Chloridolum grossepunctatum | ||
|---|---|---|
![]() | ||
| Taxonomía | ||
| Reino: | Animalia | |
| Filo: | Arthropoda | |
| Clase: | Insecta | |
| Orden: | Coleoptera | |
| Familia: | Cerambycidae | |
| Tribu: | Callichromatini | |
| Género: | Chloridolum | |
| Especie: |
Chloridolum grossepunctatum Gressitt & Rondon, 1970 | |
Chloridolum grossepunctatum es una especie de escarabajo longicornio del género Chloridolum, tribu Callichromatini, familia Cerambycidae.[1] Fue descrita científicamente por Gressitt & Rondon en 1970.[1]
Se distribuye por Asia: China, Laos y Vietnam.[1] Mide 20-20,5 milímetros de longitud.[1] El período de vuelo ocurre en los meses de abril, mayo y junio.[1]
Referencias
- ↑ a b c d e «Chloridolum grossepunctatum». Instituto de Investigación para el Desarrollo - Base de données Titan sur les Cerambycidés ou Longicornes (en francés). Consultado el 2 de diciembre de 2022.
